Development Plan Submission on behalf of Hyman Properties

Uimhir Thagarta Uathúil: 
GLW-C10-686
Stádas: 
Submitted
Údar: 
Hyman Properties
Líon na ndoiciméad faoi cheangal: 
3
Teorainneacha Gafa ar an léarscáil: 
Údar: 
Hyman Properties

Litir Chumhdaigh

VHA Architects on behalf of Hyman Properties wish to lodge this submission relating to section 12.1 An Spideal Small Growth Village of the Draft County Development Plan and in particular relates to the proposed Land use zoning map. Our client, Hyman Properties would like the department to take the following submission in to account in your deliberation of the final Galway County Development Plan. The area that this submission relates to is the partially complete estate of Ard Na Speire on the northern edge of Spideal. It is our opinion that the draft plan has not taken account of the historic planning permission on the site and an un-zoned area on the northern edge of the development is key to completing the development in a logical fashion. The following submission will set out the rationale and proposed change that it is wished would be incorporated in to the final development plan.

Tuairimí

12.1 An Spidéal Small Growth Village

Introduction 

 

VHA Architects on behalf of Hyman Properties wish to lodge this submission relating to section 12.1 An Spideal Small Growth Village of the Draft County Development Plan and in particular relates to the proposed Land use zoning map. Our client, Hyman Properties would like the department to take the following submission in to account in your deliberation of the final Galway County Development Plan. The area that this submission relates to is the partially complete estate of Ard Na Speire on the northern edge of Spideal. It is our opinion that the draft plan has not taken account of the historic planning permission on the site and an un-zoned area on the northern edge of the development is key to completing the development in a logical fashion. The following submission will set out the rationale and proposed change that it is wished would be incorporated in to the final development plan.

Proposal Alterations to Draft Plan

 

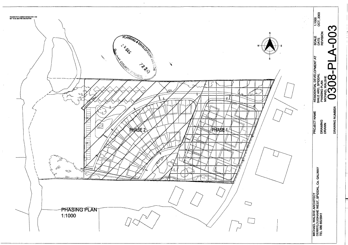
As can be seen on the extract of the draft land use zoning map for Spideal below the only area that has been zoned for development within the Ard na Speire development is the area that was indicated for housing units within the Phase 1 of the development.

 

At the moment, a number of units within the development are complete & occupied, several more are at shell stage and some have foundations poured. What has not been taken account of in this zoning is an area to the north of the entrance road that was public open space associated with the Phase 1 development. See Fig 3 attached. In order to complete this development a new planning application will be needed. The layout of 2 rows of houses back to back is by in large set by virtue of existing construction/foundations etc. However, given that the area to the north of the entrance road is not zoned or within the development boundary, the planning department cannot allow this area to be counted as open space in an application for completion of the development. This would have a detrimental impact to the possible completion of the development.

 

It is proposed as per fig. 4 attached that this area would be included within the development plan boundary with a portion closest the road being zoned for housing to allow the development address the entrance appropriately and the rear portion zoned as open space to meet the necessary development standards of amenity area.

Conclusion

 

It is felt that the proposed zoning is a logical approach to allow the completion of the proposed development which will be significant benefit to the area visually and socially. Your time and consideration of this proposal is greatly appreciated.

 

Suímh a bhaineann leis an aighneacht seo agus le tuairimí

Faisnéis

Uimhir Thagarta Uathúil: 
GLW-C10-686
Stádas: 
Submitted
Líon na ndoiciméad faoi cheangal: 
3
Teorainneacha Gafa ar an léarscáil: